Läden in Brunsbüttel-Reichenstraße: Unterschied zwischen den Versionen
| Zeile 396: | Zeile 396: | ||
== Reichenstraße 10 == | == Reichenstraße 10 == | ||
[[Bild:Ehem.Kirchspielvogtei Reichenstraße.jpg|thumb | [[Bild:Ehem.Kirchspielvogtei Reichenstraße.jpg|thumb|Ehemalige Kirchspielsvogtei]] | ||
[[Bild:Johann Jakob Hedde, Kirchspielsvogt.jpg|thumb|Johann Jakob Hedde]] | [[Bild:Johann Jakob Hedde, Kirchspielsvogt.jpg|thumb|Johann Jakob Hedde]] | ||
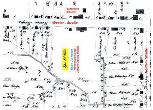
[[Bild:Flecken Brunsbüttel 1808-B.jpg|thumb | [[Bild:Flecken Brunsbüttel 1808-B.jpg|thumb|Lage der Kirchspielsvogtei-1808]] | ||
=== Die Ladenbesitzer in der Übersicht === | === Die Ladenbesitzer in der Übersicht === | ||
Version vom 25. Januar 2022, 17:57 Uhr
Diese und die anderen Seiten erheben keinen Anspruch auf Vollständigkeit.
Dieser Beitrag wird niemals ganz fertig werden.
Jeder Leser, der Werbung, Fotos, Bilder oder Informationen dazu beitragen kann, sei hiermit herzlich gebeten, mir diese zukommen zu lassen, damit ich die Anzahl der Fragezeichen auf dieser Seite reduzieren kann.
Uwe Möller, Tel. 04852 2189, mail: Gabuwe@t-online.de
An dieser Stelle herzlichen Dank
an Ute Hansen vom Stadtarchiv für Zeitungsartikel, Werbung und Daten aus dem Gewerberegister
an Uwe Borchers für alte Postkarten
an Helga Jungklaus, Annegret Boll, Telse Hecker, Dieter Ausborm, Familie Gleimius, Rainer Dürr, Manfred Janke, Peter Umland, Hans Detlef Mähl, Wilhelm Johnsen, Uwe Thomsen, Karl Martin, Walter Schulz für Daten, Unterlagen, Fotos, Zeitungsartikel und sonstige Unterstützung.
Mein ganz besonderer Dank gilt Bernd Schmidt, der mir mit Fotos, Daten und seinem Wissen über Brunsbüttel-Ort eine große Hilfe war.
Textquellen: „Bauern, Handwerker, Seefahrer“ von Wilhelm Johnsen, Brunsbütteler Spuren I und II von Professor Dr. Klaus Kleine-Weischede und alte Zeitungen.
Westerstraße – Reichenstraße
Auf der obigen Karte (1808) ist noch die Straßenbezeichnung „Wester-Straße“ zu sehen. Auf Postkarten um 1890 heißt es „Reichenstraße“. Wann genau und warum die Straße einst umbenannt wurde, bleibt wohl ein Geheimnis. Da Brunsbüttel eine Norder-, Oester- und eine Süderstraße hat, wäre die Bezeichnung „Westerstraße“ eigentlich von der Logik her sinnvoller.
Aus dem Buch „Das schöne Brunsbüttel“ von Wilhelm Johnsen, herausgegeben vom Verein für Brunsbütteler Geschichte, ist folgender Originaltext:
Ähnlich wird auch Hinrich Christian Piehls Haus ausgesehen haben und im weiteren Verlaufe der Straße gab es dereinst solcher Kreuzhausbauten noch zwei weitere, das der Martenschen Brauerei auf dem heutigen Schulgrundstück und ihm gegenüber das der langjährigen Kirchspielsvogtei, welcher noch erinnernd zu gedenken ist. Zu diesen größeren Geschwistern einer “Reichenstraße“ gesellten sich verträglich die zahlreichen Häuschen „kleinerer“ Leute, die fast durchweg den Giebel der Straße zukehrten und noch in der heutigen Erscheinung ist das alte, freundliche Straßenbild durchzuspüren. Ende des Originaltextes
In einem Zeitungsartikel von Walter Schulz über die Bildungsstätten für das Volk heißt es:
Auf Weisung der Obrigkeit wurde im Jahre 1873 eine Volksschule in der Westerstraße (heute Reichenstraße) eröffnet.
Ende des Artikelausschnitts
Wenn diese Recherchen korrekt sind, kann man also davon ausgehen, daß die Reichenstraße zwischen 1873 und ca. 1890 ihren aktuellen Namen bekommen haben muß.
Fotos, Pläne Reichenstraße
Reichenstraße 1
Auf der Situationskarte Brunsbüttels aus dem Jahre 1808 steht noch als Grundstücksbesitzer Detlef Friedrich Petersen. Er hatte das Grundstück zunächst als Pächter und wurde durch Kaufvertrag vom 6. April 1801 Eigentümer. Erst danach ging es durch Heirat in Pielschen Besitz über. Peter Hinrich Piehl (1778 – 1841), Sohn des Jacob Gottlieb Piehl, erwarb dieses Anwesen in der Reichenstraße (damals noch Westerstraße) durch seine Hochzeit mit der Tochter des Detlef Friedrich Petersen. Das Haupthaus wurde dann im Sommer 1801 oder kurz danach neu errichtet. Das Anwesen ist bis heute (2020) im Besitz der Familie Piehl.
Reichenstraße 2
Die Ladenbesitzer in der Übersicht
- Frau Cla(u)ßen – Putzmacherin ( ? )
- Ruhe, Karl – Kolonialwaren ( ? )
- Westphalen, Hermann – Kolonialwaren (1924 - 1937)
- Grube, Johann – Lebensmittel (1950 – 1973)
Akten, Werbung Reichenstraße 2
Anmerkung:
Als Kolonialwaren wurden früher, besonders zur Kolonialzeit, überseeische Lebens- und Genussmittel, wie z. B. Zucker, Kaffee, Tabak, Reis, Kakao, Gewürze und Tee bezeichnet. Kolonialwarenhändler importierten diese Produkte, die in Kolonialwarenläden und -handlungen verkauft wurden (Quelle:Wikipedia).
Reichenstraße 3
Die Gasthausbesitzer in der Übersicht
- Politz - Gastwirtschaft ( ? )
- Politz, Hinrich - Gastwirtschaft (1897 - 1910)
- “Gast- und Logierhaus“ (Doose, Claudius) – Gasthof ( 1910 - 1915)
- Jensen, Wilhelm – Gasthof ( 1915 – 1923?)
- Jensen, Betty – Gasthof (1923? – 1925)
- “Zum weißen Schwan“ (Hansen, Friedrich) – Gasthof (1925 - 1930er? )
- “Zum weißen Schwan“ (Aereboe, Ernst) – Gasthof (1930 - 1948? )
- “Zum weißen Schwan“ (Carstens, Erich) – Gasthof (1948 - Anfang 1950?)
- “Zum weißen Schwan“ (Adamski, Max) – Gasthof (1950 – 1954?)
- “Zum weißen Schwan“ (Meier, Johanna) – Gasthof (1954? - 1958)
Bei Max Adamski ist stark anzunehmen, daß er den Gasthof 1954 abgab, da er im gleichen Jahr den Gasthof "Zur Börse" in Brunsbüttelkoog, Koogstraße 4, übernahm (Läden im Koog-Koogstraße 1-8
Fotos Reichenstraße 3
„Zum weißen Schwan
Viele ältere Brunsbüttelkooger kennen Gasthöfe wie „Zum weißen Schwan“, Hotel Zur Post und Zur Traube noch sehr gut aus der Kindheit im Zusammenhang mit dem Vogelschiessen. Wenn die Spiele vorbei waren, ging es per Umzug in eine dieser Gaststätten, wo man zu den Klängen von der Kapelle Mahlstedt / Lüdert (mitunter auch noch mit dem Bassisten Pinske) bei Liedern wie „Ach lieber Schuster Du ...“, „Ja mit den Füßen geht es trapp-trapp-trapp ...“ oder „ Gah von mi gah von mi – ik mach Di ni seh´n ...“ die ersten Tanzschritte lernte. Das war zu einer Zeit, wo ein Stromausfall noch keine großen Auswirkungen auf die Veranstaltung hatte, es wurden Kerzen aufgestellt und die Musiker konnten weiterspielen, Verstärker, Equalizer, Mischpulte und dergl. gab es noch nicht. Überwachung durch Handys wäre, wenn es sie schon gegeben hätte, überflüssig, da die Eltern mit dabei waren.
Bis Mitte der 1950er Jahre wurde der Saal der Gaststätte regelmäßig zum "Turnsaal" für die Schüler Brunsbüttels umfunktioniert.
Siehe auch Vogelschiessen
Akten und Artikel „Zum weißen Schwan“
Werbung Reichenstraße 3
Reichenstraße 4
Die Ladenbesitzer in der Übersicht
- von Hein, Claus – Krugwirt (1789 - ? )
- Peters, Carl – Malerei, Spielwaren, Puppenklinik (1924? - ? )
- Waller, Wilhelm – Drogerie (1938 – 1945)
- Jebens, Otto (Filialleiterin Paap, Margarethe) – Getreide, Futtermittel (1956 – 1963)
- Peters, Christian ? – Malerei, Spielwaren ( ? – 1973)
Drogerie Waller
Seit 1938 betrieb Wilhelm Waller einen Drogerieladen, anfangs in der Reichenstraße 4 , bevor er 1945 eine Drogerie in der Reichenstraße 20 in Brunsbüttel-Ort (Eckhaus zur Norderstraße) eröffnete. 1951 eröffnete er ebenfalls eine Drogerie in Brunsbüttelkoog in der Koogstraße 84.
Die Drogerie in der Reichenstraße 20 wurde 1953 von Friedrich Halle und danach von Karl Gloe übernommen.
Das Gebäude der Koogstraße 84 wurde dann in den 1950er-Jahren „aufgestockt“. 1959 verließ der Ofenbauer und Fliesenleger Wilhelm Peters seinen Laden in der Koogstraße 82 und Wilhelm Waller ergriff die Chance. Er ließ den Laden komplett umbauen und eröffnete anschließend seine Drogerie an dieser Stelle.
Siehe auch Läden im Koog-Koogstraße 81-84.
Akten, Werbung Reichenstraße 4
Reichenstraße 5
Die Ladenbesitzer in der Übersicht
- Arriens, Otto – Barbier (um 1910?)
- Friseursalon – Friseur, auf einem Foto erkennbar ( ? )
- Kruse, Hinrich – Kaufmann, Tabak etc (1924? – 1949?)
- Kruse, Friedrich – Kaufmann, Tabak etc (1949 – 1954)
- Hartmann, Erich – Obergerichtsvollzieher ( 1950er)
- “Konsum“ – Lebensmittel (1954 – 1963)
- Hoyer, Bernhard – Fußbodenbeläge (1966? - 1991)
Konsum
Im Jahre 1895 fand im Hotel zur Kanalmündung eine Versammlung zwecks Gründung eines Beamtenvereins statt, der in erster Linie ein Konsumverein sein sollte. Daraus entwickelten sich später die Konsumläden in Brunsbüttelkoog, Brunsbüttelhafen und Brunsbüttel. Der erste Konsum im Brunsbütteler Bereich war noch im ersten Beamtenviertel, das beim Bau der Neuen Schleuse Brunsbüttel weichen mußte. 1909 entstand dann der erste Konsum-Laden in der Kautzstraße 14 (Ecke Posadowskystraße/Kautzstraße). Nach dem Konsum etablierte sich an diesem Ort Das Rössl in Brunsbüttel.
Die Verteilungsstelle Nr. 34 des Konsum in der Reichenstraße wurde am 26. März 1954 eröffnet und lief bis zum 18. Mai 1963.
Im Gegensatz zum Wort für Verzehr oder Verbrauch von Gütern lag hierfür die Betonung im Sprachgebrauch auf dem o (sprich Konnsum).
Näheres siehe Läden im Koog-Konsum
Fotos Reichenstraße 5
Akten, Werbung Reichenstraße 5
Reichenstraße 6
Die Ladenbesitzer in der Übersicht
- Johannßen, Klaus – Tischlerei ( ? )
- Becker, Karl – Manufakturwaren (1925 - ? )
- Ahrens, Conrad – Friseur (1946 - 1957)
- Ahrens, Gerd und Ulla – Friseurgeschäft (1957 - 1983)
- “Salon Liane“ (Plinke, Liane) – Friseursalon (1983 – 1988)
- Stademann, M. - Montage aller Art ( ? )
Conrad und Gerd Ahrens
1946 eröffnete der Friseur Conrad Ahrens in der Reichenstraße 6 einen Friseurladen, den er 1957 an Gerd und Ulla Ahrens übergab. Anfang der 1960er wurde an der Stelle neu gebaut.
Gerd Ahrens war von 1957 bis 1988 Gemeindewehrführer der Freiwilligen Feuerwehr Brunsbüttel-Ort.
Die folgenden 4 Fotos wurden freundlicherweise von Bernd Ahrens zur Verfügung gestellt.
Salon "Liane"
Am 18.12.1975 eröffnete Liane Plinke einen Frisiersalon auf der Südseite Brunsbüttels in der Schoofstraße 1, den sie von ihrer Vorgängerin Lisa Baumann übernommen hatte.
Am 29. September 1996 wurden in der Schoofstraße 1 die letzten Kunden bedient.
Nachdem der Friseur Gerd Ahrens in der Reichenstraße 6 seinen Betrieb aufgegeben hatte, eröffnete Liane Plinke 1983 parallel zur Schoofstraße 1 einen weiteren Salon, der dann aber 1988 geschlossen wurde, nachdem sie in der Sackstraße 8 den jetzigen Friseursalon eröffnete.
Siehe auch Läden_im_Koog-Schoof-_und_Festgestraße#Liane_Plinke
und Läden_in_Brunsbüttel-Sackstraße#Liane_Plinke
Werbung, Akten Reichenstraße 6
Reichenstraße 8
In der Reichenstraße 8 wohnte lange Zeit der Elbjäger v. Horsten, bis Eggert Schmielau das Haus kaufte, abreißen ließ und in den 1970er Jahren eine rückwärtige Auffahrt mit Parkmöglichkeiten für das Hotel „Zur Traube“ bauen ließ.
Reichenstraße 9
Die Ladenbesitzer in der Übersicht
- Brauerei – Brauerei und Brennerei ( ? )
- Brauerei (Detlef Friedrich Petersen) – Brauerei und Brennerei ( 1787 - ? ), (Quelle: „Das schöne Brunsbüttel“, Wilhelm Johnsen)
- “Martensche Brauerei“ (Hermann Chr. Martens) – Brauerei und Brennerei ( 1808? - ? ), Situationskarte von 1808
- “Martensche Brauerei“ (Hinrich Martens) – Brauerei und Brennerei ( 19. Jahrhundert ), Walter Schulz
- Volksschule – Schule (1873 – 1969)
- Jakobus-Kindergarten – Kindergarten (1969 – 1991)
Brauerei und Schule Reichenstraße
Das erste Gebäude in der Reichenstraße 9 wurde 1675 gebaut und als Brauerei genutzt. Es gehörte zu denjenigen Gebäuden, die gleich nach der großen Flut von 1674, durch die der alte Kirchort Brunsbüttel gänzlich zerstört wurde, an dem neuen Flecken erbaut wurden.
Textquelle: Größtenteils aus der Chronik der Schule Reichenstraße:
Der reiche Kaufmann Hinrich Martens lebte im 19. Jahrhundert auf dem Grundstück Westerstraße (Anmerkung: wahrscheinlich der Nachfolger von Hermann Christian Martens, dem Namensgeber des "Hermannshofes") . Er war Schnapsbrenner und unterhielt eine Brauerei.
Die „Schulcommüne“ kaufte 1873 von dem Bauerschaftsgevollmächtigten und Rentier Claus Sühl das Haus für 7200 Mark (2400 Thaler) und ließ vom Bauunternehmer Johann Peter Kuhlmann eine Schule bauen, da die Elementarschule an der Marktsüdseite, rechts neben dem alten Pastorat, mit ihren beengten Verhältnissen nicht mehr den schulischen Anforderungen entsprach.
1873 enthielt die Schule 233 Kinder (137 Jungen und 96 Mädchen), aufgeteilt in 4 Klassen
- die Oberknabenklasse (Lehrer war Rektor und Kantor Johann Hermann Hadenfeldt)
- die Obermächenklasse (Lehrer war der Küster und Organist Christian Krohn)
- die Mittelklasse (Lehrer war Johann Maaßen)
- die Unterklasse (geleitet vom examinierten Gehilfen Johannes Detlef Heinrich Horn)
Laut der 1871 vorgenommenen Zählung hat die Gemeinde Brunsbüttel 2877 Seelen. Hauptpastor der Gemeinde ist Carl Wilhelm Wolff (Er schrieb 1873 das Buch „Aus Brunsbüttels vergangenen Tagen“).
Am Giebel des Gebäudes ist die Jahreszahl 1873 zu erkennen.
Zum Gebäude gehörten auch Lehrerwohnungen und Toilettenanlagen. In den Jahren 1912/1913 wurde das Haus erweitert.
Als 1965 die Eingangsstufen des Schulgebäudes erneuert werden sollten, fand man im Fundament der alten Stufen eine abgedichtete Champagnerflasche, in der sich Münzen, ein handgeschriebenes Dokument und Zeitungsartikel aus der Zeit des Hausbaus (1873) befanden. Genauere Auskunft gibt der Zeitungsartikel der BZ vom 31.05.1965.
Ab 1969 befand sich der Jakobuskindergarten in dem Gebäude.
Fotos Reichenstraße 9
Reichenstraße 10
Die Ladenbesitzer in der Übersicht
- Kichspielsvogtei (Kirche) – Vogtei ( ? – 1721)
- Kichspielsvogtei (Klaus Linau) – Vogtei (1730 – 1742)
- Kichspielsvogtei (Christian Stephan Hahn) – Vogtei (1745 – 1757)
- Kichspielsvogtei (Hinrich Piehl) – Vogtei (1757 – 1783)
- Kichspielsvogtei (Johann Friedrich Piehl) – Vogtei (1783 – 1794)
- Kichspielsvogtei (Johann Jacob Hedde) – Vogtei (1794 – 1804)
- Christianisches Erziehungsinstitut (Frau Christiani) – Töchterschule (1828 – 1865)
- Hermann, E. – Maler ( ? – 1908)
- Gleimius, Johannes – Maler (1908 - ? )
- Göttsche, Willy – Friseur ( ? – 1922)
- Ahrens, Conrad – Friseur (1922 - 1946)
- Winkler, Fritz – Schlachter (1954 – 1963)
- Mahn, Kurt – Schlachter (1963 – 1988)
Die Kirchspielsvogtei
Anmerkung:
In grauer Vorzeit waren noch nicht so viele Häuser in der Reichenstraße (früher Westerstraße), so daß die Hausnummer für die Kirchspielsvogtei („gegenüber der Martenschen Brauerei“) mit Reichenstraße 10 angenommen wurde, es könnte auch Reichenstraße 12 gewesen sein.
Textquelle:
“Das schöne Brunsbüttel“ von Wilhelm Johnsen, herausgegeben vom Verein für Brunsbütteler Geschichte
Als die Kirche die Stelle des 2. Predigers 1721 ruhen ließ, wurden Grundstück und Gebäude in der Reichenstraße an den Kirchspielsvogt Klaus Linau zunächst verpachtet, 1730 dann verkauft.
1742 überließ er das Anwesen dem Kirchspielschreiber Christian Stephan Hahn und verkaufte es 1745 an ihn. Als weitere Besitzer und Inhaber des Amtes des Kirchspielvogtes folgten Hinrich Piehl (1757 – 1783) und dessen Sohn Johann Friedrich (1783 – 1794). Letztendlich ging es in den Besitz von Johann Jacob Hedde (1794 – 1804) über.
Der Ausschnitt aus der Situationskarte von 1808 zeigt gegenüber der Brauerei (später Volksschule) das Grundstück mit der Kirchspielsvogtei mit dem Namenskürzel „Kspv. J.J.Hedde“ (Kirchspielsvogt Johann Jacob Hedde).
Das Christianische Erziehungsinstitut (Töchterschule)
1816 verstarb der Kirchspielsvogt Johann Jacob Hedde und 1825 folgte ihm seine Frau. Einige Jahre nach dem Tod der Witwe Hedde mietete die Pastorenwitwe Christiani aus St. Margarethen das Anwesen und zog am 10. November 1828 ein. Sie setzte hier ihre bereits in St. Margarethen betriebene Erziehung junger Mädchen fort. Als Lehrerinnen wirkten in der Schule die vielseitig gebildeten Pastorentöchter.
Frühere Annahmen, die Schule könnte ihren Namen vom dänischen König Christian VIII haben, erwiesen sich als falsch. Wahr ist, daß die Töchterschule ihren Namen der Gründerin „Christiani“ verdankt. Sie war, laut Wilhelm Johnsen, die Mutter des ersten, studierten Arztes in Brunsbüttel, Dr. Friede Christiani, der von 1832 bis zu seinem Tode 1888 im Doktorhaus praktizierte.
Siehe auch Emil-Doktor und das Doktorhaus
Als die Christianis ausschieden, verfiel das Haus zusehends und wurde 1865 abgerissen.
Fotos Reichenstraße 10
Werbung Reichenstraße 10
Reichenstraße 11
Die Ladenbesitzer in der Übersicht
- Thomsen, Emil – Buchhandlung, Spielwaren, Leihbücherei (1960 – 1979)
Emil Thomsen
Der Buchhändler Emil Thomsen hatte in Brunsbüttel-Ort seit 1946 in der Reichenstraße 17 einen Laden für Papier-, Schreib-, Spielwaren und sonstige Büroartikel sowie eine Leihbücherei. Am 06. November 1951 gründete er eine Filiale in der Koogstraße 92, links Thomsen, rechts Franzenburg.
Siehe auch Läden im Koog-Koogstraße 92-95
Am 01.04.1958 übernahm er auch die Annahmestelle für das Reisebüro Biehl-Heide. Mit diesem Tag war die Annahmestelle bei Lemor Koogstraße 32 aufgelöst (Läden im Koog-Ladenreihe Koogstrasse 32).
1960 verlegte Emil Thomsen sein Hauptgeschäft in Brunsbüttel-Ort von der Reichenstraße 17 in die Reichenstraße 11, das er dann dort bis 1979 betrieb.
Werbung Reichenstraße 11
Reichenstraße 12
Zwischen der Reichenstraße 10 und 12 stand seit dem 2. Weltkrieg eine Baracke mit den Hausnummern 12a und 12b. Während der Kriegszeit waren dort Soldaten mit dem Spitznamen die „Blauen“ oder auch die „Silberlinge“ einquartiert. Nach dem Krieg war die Baracke noch längere Zeit Unterkunft für 3 Familien. Der Abriß erfolgte Anfang der 1980er Jahre.
Fotos Baracke
Reichenstraße 13
Die Ladenbesitzer in der Übersicht
- Helwig, Heinrich – Bücher, Geschenke, Papier (1896 - ? )
- Johannsen, A. – Schuhmacher (1898 - ? )
- Lohse, Willy – Friseur (1920 - ? )
- Proell, Walter Ingenieur – Elektro-u. Radiogeschäft ( ? – 1950)
- Schümann, Rudolf – Elektro- u. Radiogeschäft (1950 – 1954)
- Müller, Hermann – Maßschneiderei (1954 - ? )
Heinrich Helwig
Heinrich Helwig war ein umtriebiger Geschäftsmann und in Brunsbüttel, Brunsbüttelhafen, Brunsbüttelkoog so wie auch in Eddelak lange Zeit ein Begriff für Postkarten, Papier, Geschenkartikel, Schulbedarf usw. Es begann 1894 wahrscheinlich in Brunsbüttel-Ort (siehe Ausverkaufswerbung vom 14.10.1895 und Jubiläumsanzeige 65 Jahre,1959).
- 16.02.1894 – Geschäftseröffnung in Brunsbüttel-Ort
- 19.10.1895 – Eröffnung einer Filiale bei Fa. Uderstadt in Brunsbüttelhafen
- 1896 – Eröffnung des Ladens in der Reichenstraße 13
- 30.04.1896 – Verlegung der Filiale vom Hause Uderstadt zum Hause Pemöller (beides Brunsbüttelhafen)
- 04.11.1896 – Geschäftseröffnung in Eddelak
- 13.01.1898 – Errichtung einer Verkaufsstelle bei Haase, Koogstr. 73, (Läden im Koog-Koogstraße 68-73)
- 10.05.1898 – Verlegung der Filiale Pemöller in die Koogstr. 14, (Läden im Koog-Koogstraße 9-16)
- 11.08.1900 – Errichtung einer Verkaufsstelle bei Jebens, Koogstr. 88, (Läden im Koog-Koogstraße 85-91)
- 14.03.1901 – Widereröffnung Reichenstr. 13 nach Renovierung
- 21.09.1905 – Eröffnung einer Filiale Koogstr. 93, (Läden im Koog-Koogstraße 92-95)
- 10.08.1909 – Errichtung einer Verkaufsstelle bei Lindner, Koogstr. 76, (Läden im Koog-Koogstraße 74-80)
Heinrich Helwig hatte seinen Laden in der Koogstraße 14 bis 1931, dann übernahm sein Sohn Werner bis 1936. Meta Emkes, eine Tochter Heinrich Helwigs, übernahm von ihrem Bruder die Geschäftsführung bis 1943. Meta Emkes betrieb ebenfalls die väterliche Verkaufsstelle in der Koogstraße 76 von 1931 bis 1936 und hatte einen Laden in der Koogstraße 62 von 1931 bis 1949. Die zweite Tochter Heinrich Helwigs, Paula Hawacker, übernahm 1949 von ihrer Schwester das Geschäft in der Koogstraße 62, (Läden im Koog-Koogstraße 56-63).
Mit der Geschäftsaufgabe Paula Hawackers im Jahre 1962 endete dann die „Ära Helwig, Emkes und Hawacker“.
Werbung Helwig
Fotos Reichenstraße 13
Werbung Reichenstraße 13
Reichenstraße 15
Die Ladenbesitzer in der Übersicht
- Wilkens, K. ? – Damenschneiderei ? (1908 - ? )
- Wilkens, Johann Peter – Klempnerei ( um 1910? )
- Wilkens, Fritz – Klempnerei (1930er – 1951?)
- Ahlers, Hermann – Klempnerei ( 1951 – 1971)
Fotos Reichenstraße 15
Akten, Werbung Reichenstraße 15
Reichenstraße 16
Die Ladenbesitzer in der Übersicht
- Lau, Anna – Geschenkartikel ( 1928? - ? )
- Schilling, Hannes – Gemüse, Süßigkeiten (1940er – 1965?)
Fotos, Werbung Reichenstraße 16
Reichenstraße 17
Die Ladenbesitzer in der Übersicht
- “Zur Erheiterung“ (Haack, H.) – Gaststätte ( ? – 1894)
- “Zur Erheiterung“ (Rosemeyer, B.) – Gaststätte (1894 – 1908?)
- “Zur Post“ (Striepe, Heinrich) – Gaststätte (1908? - ? )
- “Zur Post“ ( ? ) – Gaststätte ( ? )
- “Stadt Hamburg“ (Willy Raumann) – Hotel (1920 - ? )
- Hintz, Werner – Altwarenhandlung ( 1930er? )
- "Ursano" (Baensch u. Co, Inh. Wolfgang Kleingeist) - Herstellung ärztlicher Instrumente etc (1947 - 1949)
- "Ursano" (Wolfgang Kleingeist) - Herstellung ärztlicher Instrumente etc (1949 - ? )
- Thomsen, Emil – Buchhandlung, Spielwaren, Leihbücherei (1946 – 1960)
- “Schuhhaus“ (Nigbur, Paul – Schuhverkauf (1951 – 1965)
Fotos Reichenstraße 17
„Zur Erheiterung“, „Zur Post“, „Stadt Hamburg“
Die drei erwähnten Gaststätten bzw. Hotels befanden sich alle nacheinander an gleicher Stelle in der Reichenstraße 17. Im obigen Zeitungsartikel ist ersichtlich, daß u.a. dieses Eckhaus der gefährlichen Ecke zum Ochsenmarkt im Frühjahr 1965 einer Kurvenentschärfung weichen mußte.
Heinrich Striepe besaß die Nummer 149 der 299 Telefonanschlüsse, die es im Bereich Brunsbüttelkoog, Brunsbüttelhafen, Brunsbüttel-Ort, St.Margarethen, Kudensee, Oestermoor, Büttel und Westerbüttel laut Telefonverzeichnis von 1911 gab.
Im Gasthof „Zur Erheiterung“ (später auch „Gasthof Zur Post“, da das Kaiserliche Postamt gegenüber war – siehe Postämter in Brunsbüttel) fand am 8. März 1903 eine gut besuchte Versammlung statt.
Zweck dieser Versammlung: Gründung eines Badevereins ( siehe auch Badeanstalten in Brunsbüttel).
Am 22.September 1909 wurde der Gasthof Zur Post ein Opfer der Flammen.
Emil Thomsen
Text Emil Thomsen siehe Reichenstraße 11
Werner Hintz
Der Rohproduktenhändler (Altmetalle, Lumpen, Knochen, Papier) Werner Hintz hatte in den 1930er Jahren einen Betrieb in der Reichenstraße 17 und zog von dort dann in den Mühlenweg 19.
1951 trennte sich die Familie Hintz, Ehefrau Auguste betrieb weiterhin den Rohproduktenhandel im Mühlenweg, während Werner in den Hinterhof der Koogstraße 94 umzog. Zwischen der „Kanal-Drogerie“ (Koogstr. 94) und dem Friseur Braun (Koogstr. 94a) führte ein kleiner Weg zum Schrebergartengelände (die Goethestraße war erst im November 1957 fertig). Seinen dortigen Schrottplatz kannten wir Kinder damals recht genau.
So manches kleine Taschengeld ging über diese „Schiene“. War die Menge an Metall allerdings zu groß, mußte ein Erwachsener dabei sein und dies bestätigen.
1960 eröffnete Werner Hintz ebenfalls einen Altmetallhandel in der Süderstraße 27. Sein Geschäft in der Koogstraße gab er 1964 auf während das in der Süderstraße noch bis 1972 weiterlief.
Läden_im_Koog-Koogstraße_92-95#Werner_Hintz
Läden_in_Brunsbüttel-Reichenstraße#Reichenstra.C3.9Fe_17
Läden_in_Brunsbüttel-Süderstraße#Werner_Hintz
Läden in Brunsbüttel-Mühlenweg, Deichstraße
Akten, Werbung Reichenstraße 17
Reichenstraße 18
Die Ladenbesitzer in der Übersicht
- Wilkens, P.J. – Tischlerei ( 1888? - ? )
- Schlichting – Altmetallhandlung ( ? )
Werbung Reichenstraße 18
Reichenstraße 20
Die Ladenbesitzer in der Übersicht
- Keuth, Jacob – Brauerei (1740er – 1750er?)
- Keuth, Klaus – Brauerei (um 1789? - ? )
- Kröger & Barofsky – Konfektionsgeschäft (1896? – 1896)
- Barofsky, P.H. – Konfektionsgeschäft (1896? - 1898? )
- Petersen, Mathias – Hamburger Manufakturlager (1898 - ? )
- Becker, Jacob – Kaufmann (1920er? – 1930er?)
- Waller, Wilhelm – Drogerie (1945 – 1953)
- Halle – Drogerie (1953 - 1962)
- Gloe, Karl – Drogerie (1962 - ? )
- Rösler, Bernd – Immobilien (1980er? - ? )
- “Jay´s Ink Tattoo“ – Tattoos ( ? )
Brauerei Reichenstraße 20
Mitte des 18. Jahrhunderts war an dieser Stelle eine Brauerei, dessen Besitzer ein gewisser Jacob Keuth war. 1789 ging das Anwesen an seinen Sohn Klaus über, dessen Name auch noch auf der Situationskarte von 1808 ersichtlich ist (siehe Karte unter Reichenstr. 10-Kirchspielsvogtei, Ecke Wester/Norderstr.)
Am (heute nicht mehr vorhandenen) Giebel des jetzigen Hauses Reichenstraße 20 stand das Baujahr – 1895.
Das Gebäude wurde im Jahre 1902 umgebaut.
Fotos Reichenstraße 20
Drogerie Waller, Halle, Gloe
Text siehe Waller, Reichenstraße 4
Werbung Reichenstraße 20
Anmerkung: Kontantgeschäft ist die Bezeichnung einer Geschäftsform, bei der es hieß: Ware gegen Bargeld. Diese Läden haben weder Ratenzahlung noch das damals vielfach übliche „Anschreiben und zum nächsten Monatsanfang bezahlen“ mitgemacht.
Verwandte Themen
- Sammlung Uwe Möller
- Alte Straßennamen in Brunsbüttel
- Brunsbüttelhafen
- Brunsbüttelkoog
- Läden im Koog-Benzinsiedlung und Koogsweg
- Läden im Koog-Breiholz
- Läden im Koog-Brunsbütteler Straße
- Läden im Koog-Fährstraße bis 8
- Läden im Koog-Fährstraße 9-146
- Läden im Koog-Friedhofskippe
- Läden im Koog – Fundgrube
- Läden im Koog-Fürböter
- Läden im Koog-Hermann von Borstel
- Läden im Koog - Kaufhaus Luth
- Läden im Koog-Konsum
- Läden im Koog-Koogstraße 1-8
- Läden im Koog-Koogstraße 9-16
- Läden im Koog-Koogstraße 17-23
- Läden im Koog-Koogstraße 24-36
- Läden im Koog-Koogstraße 37-46
- Läden im Koog-Koogstraße 47-55
- Läden im Koog-Koogstraße 56-63
- Läden im Koog-Koogstraße 64-67
- Läden im Koog-Koogstraße 68-73
- Läden im Koog-Koogstraße 74-80
- Läden im Koog-Koogstraße 81-84
- Läden im Koog-Koogstraße 85-91
- Läden im Koog-Koogstraße 92-95
- Läden im Koog-Koogstraße 96-108
- Läden im Koog-Koogstraße-Abschluß
- Läden im Koog-Ladenreihe Koogstrasse 32
- Läden im Koog-Lütt Dörp
- Läden im Koog-Schoof- und Festgestraße
- Läden in Brunsbüttel-Am Boßelkamp, Am Fleth, Am Doktorgraben
- Läden in Brunsbüttel-Mähl
- Läden in Brunsbüttel-Markt
- Läden in Brunsbüttel-Mühlenweg, Deichstraße
- Läden in Brunsbüttel-Norderstraße
- Läden in Brunsbüttel-Oesterstraße, Ochsenmarkt, Marner Chaussee
- Läden in Brunsbüttel-Reichenstraße
- Läden in Brunsbüttel-Sackstraße
- Läden in Brunsbüttel-Süderstraße
- Postämter in Brunsbüttel
- Strandhalle Brunsbüttel
- Jürgensen´s Hotel in Brunsbüttel-Ort
- Zur Traube

